Lowndes Area Knowledge Exchange (LAKE)
Survey Plat
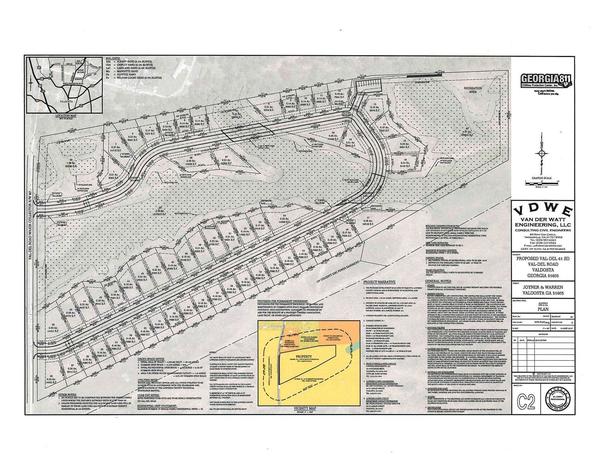
Rezoning Case REZ-2019-12 Val Del 61, Val Del Road R-1 to P-D, County Water and Sewer, ~28.436 acres
Packet: Lowndes County Commission
9 September 2019
bigger
PDF
Photographs
by
Lowndes Area Knowledge Exchange (LAKE)
,
licensed by a
Creative Commons Attribution-Share Alike 3.0 U.S. License
.
Lowndes Area Knowledge Exchange (LAKE)