Lowndes Area Knowledge Exchange (LAKE)
Page 31
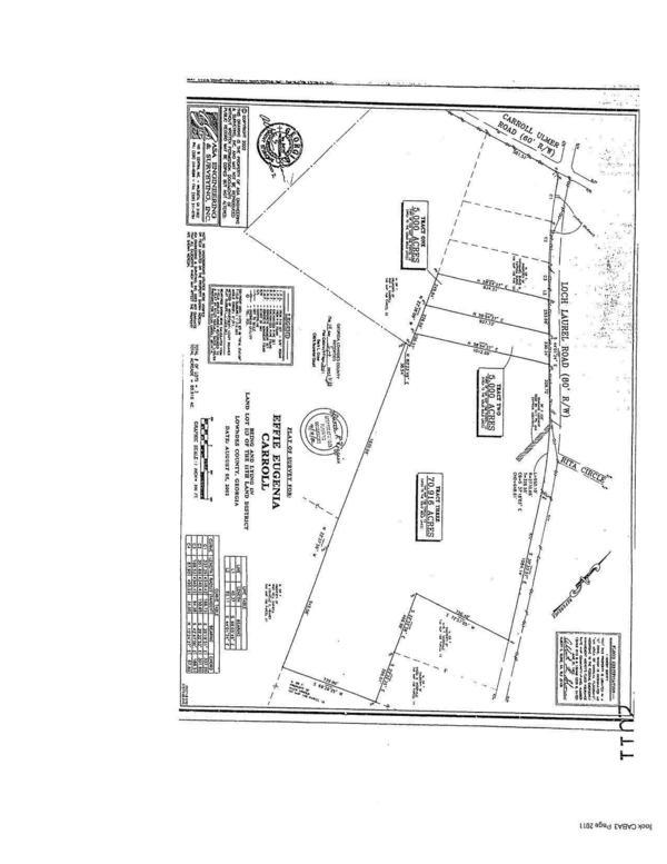
Rezoning Case REZ-2019-17 Quillian Powell, 2686 Loch Laurel Rd. R-1 to E-A, Well & Septic, ~78.92 acres Districts 3 & 5
Lcc packet
9 December 2019
bigger
PDF
Photographs
by
Lowndes Area Knowledge Exchange (LAKE)
,
licensed by a
Creative Commons Attribution-Share Alike 3.0 U.S. License
.
Lowndes Area Knowledge Exchange (LAKE)