Lowndes Area Knowledge Exchange (LAKE)
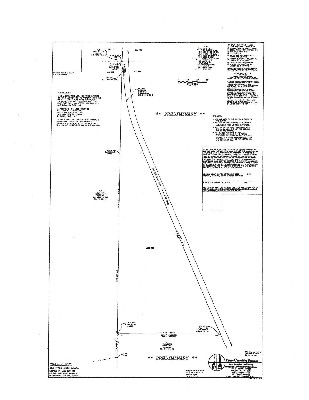
Preliminary Survey
Rezoning Case REZ-2020-02 SKT Investments, LLC, Lester Rd. E- Ato R-A, Well & Septic, “10.55 acres (Districts 3 and 5)
Rezonings, Right of Way, Software, Health Insurance, Deannexation, and Road Repairs
24 February 2020
smaller
PDF
Photographs
by
Lowndes Area Knowledge Exchange (LAKE)
,
licensed by a
Creative Commons Attribution-Share Alike 3.0 U.S. License
.
Lowndes Area Knowledge Exchange (LAKE)