Lowndes Area Knowledge Exchange (LAKE)

[prev][index][next] [index to photographs]

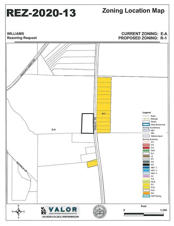
Zoning Location Map

REZ-2020-13 Carolyn Williams 7141 Ousley Road (0039 010) E-A to R-1, Well and Septic, ~5.71 acres
Packet: Lift Station Pump, Juvenile Justice Grant, Fees for Web and Telephone Payments, 3 rezonings, 1 withdrawn, 1 lighting, beer @ LCC
12 October 2020

 
Zoning Location Map
bigger PDF