Lowndes Area Knowledge Exchange (LAKE)

[prev][index][next] [index to photographs]

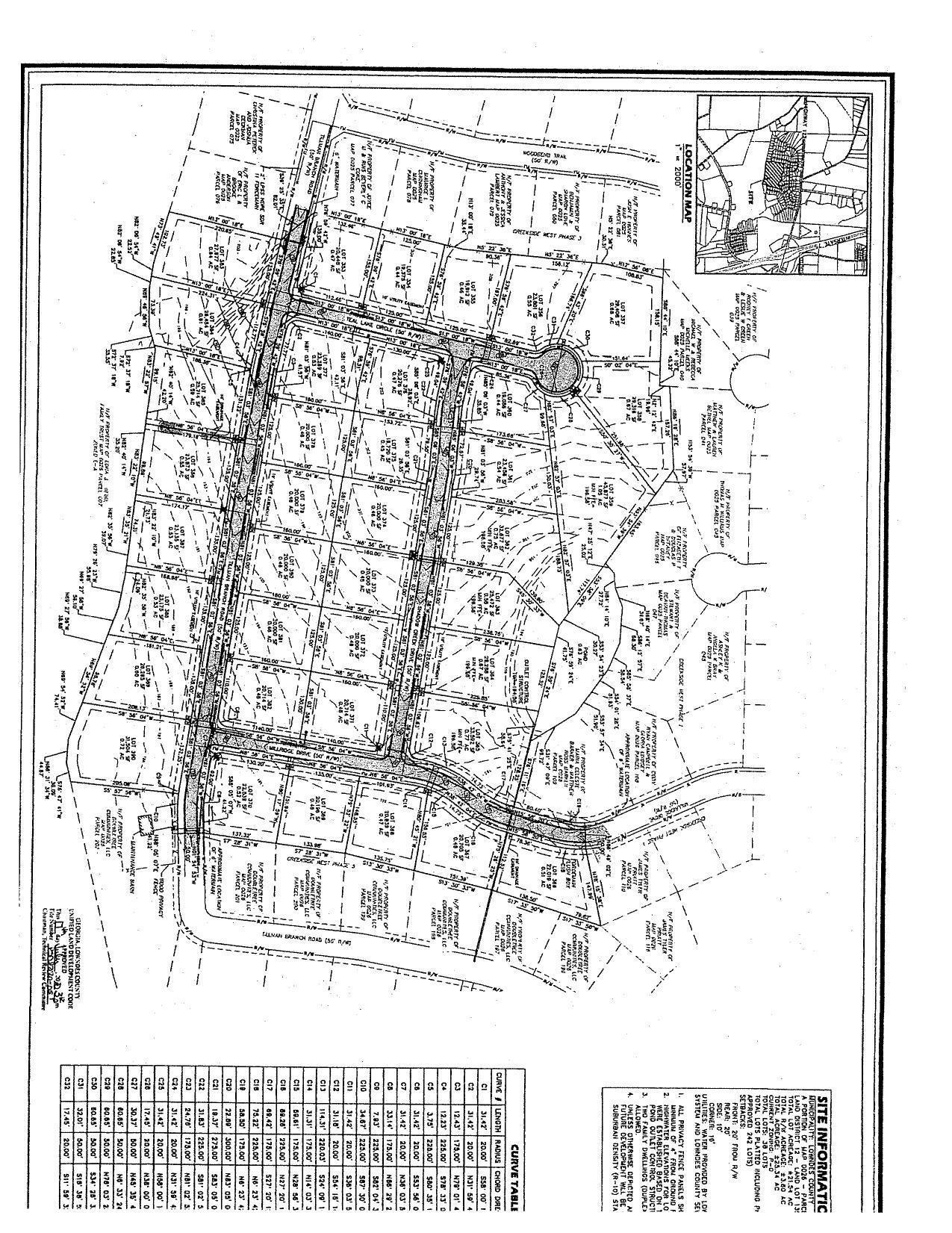
Survey Plat: Creekside West

Addition to Basic Decorative Street Lighting District - Creekside West, Ph. 6 & 7 and Val Del Villas
Packet: Clyattstone Road rezoning yet again, Decorative lighting, Transportation, Alcohol, Taxes, Law, Cybersecurity, Pandemic @ LCC
25 January 2021

 
Survey Plat: Creekside West
smaller PDF