Lowndes Area Knowledge Exchange (LAKE)
Plat
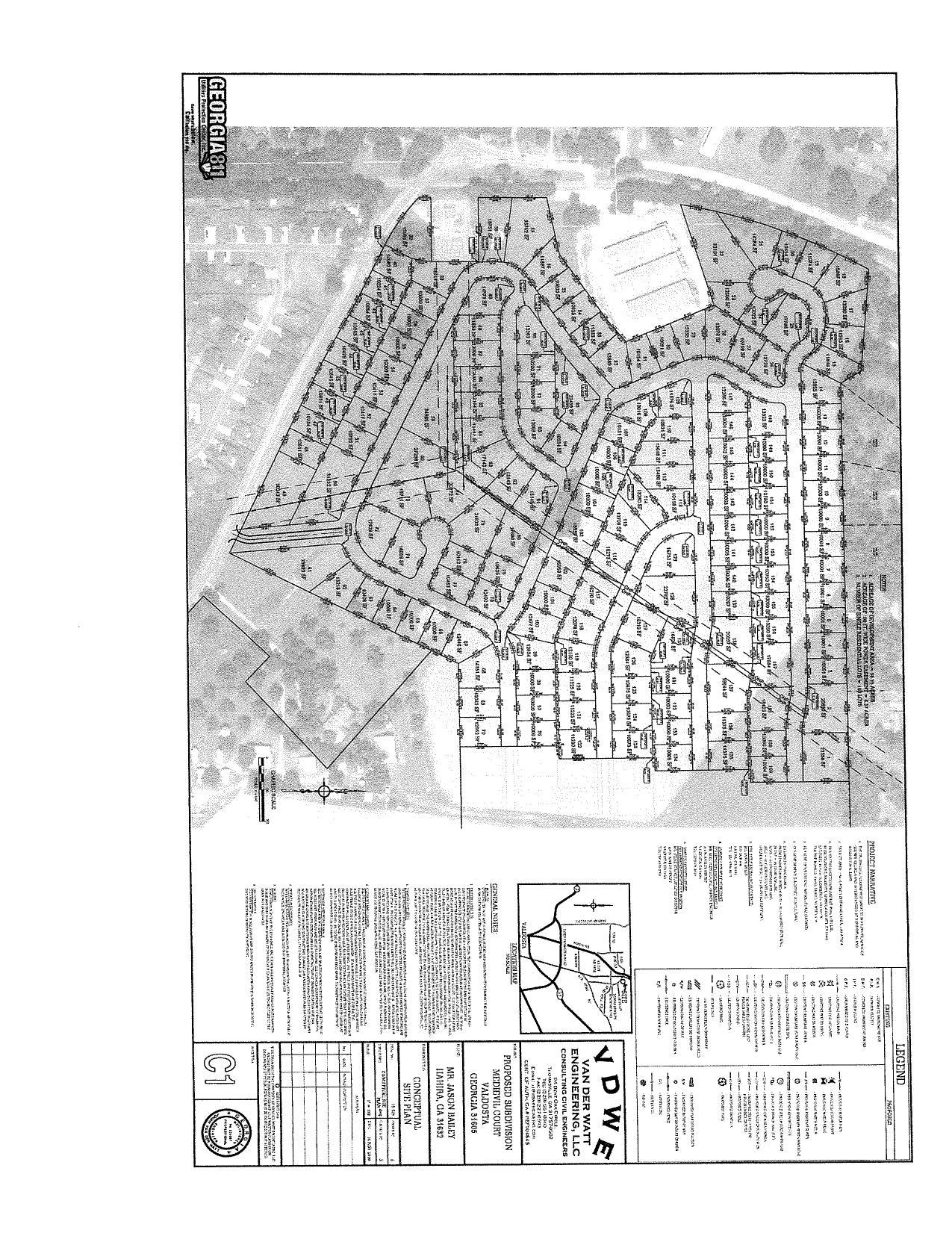
REZ-2021-01 Knights Landing Subdivision, Phase 5
Two rezonings, contractors for personal property assessments and water tank cleaning @ LCC
3 March 2021
smaller
PDF
Photographs
by
Lowndes Area Knowledge Exchange (LAKE)
,
licensed by a
Creative Commons Attribution-Share Alike 3.0 U.S. License
.
Lowndes Area Knowledge Exchange (LAKE)