Lowndes Area Knowledge Exchange (LAKE)
LOT LAYOUT 3
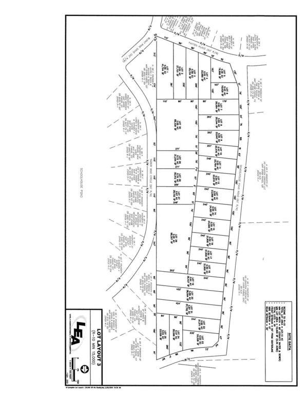
REZ-2021-03 Johnston Subdivision, School House Pond Road (0195 053) R-1 to R-10, County Water & Sewer, ~21 acres
Packet: Subdivisions, Land taking, trash @ LCC
22 March 2021
bigger
PDF
Photographs
by
Lowndes Area Knowledge Exchange (LAKE)
,
licensed by a
Creative Commons Attribution-Share Alike 3.0 U.S. License
.
Lowndes Area Knowledge Exchange (LAKE)