Lowndes Area Knowledge Exchange (LAKE)
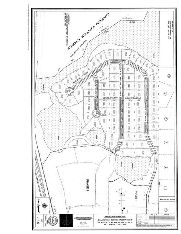
Parcel Plan Sheet
Adopt Resolution Accepting Infrastructure for Quarterman Estates Subdivision Phase Ill
Packet: Subdivisions, Land taking, trash @ LCC
22 March 2021
bigger
PDF
Photographs
by
Lowndes Area Knowledge Exchange (LAKE)
,
licensed by a
Creative Commons Attribution-Share Alike 3.0 U.S. License
.
Lowndes Area Knowledge Exchange (LAKE)