Lowndes Area Knowledge Exchange (LAKE)

[prev][index][next] [index to photographs]

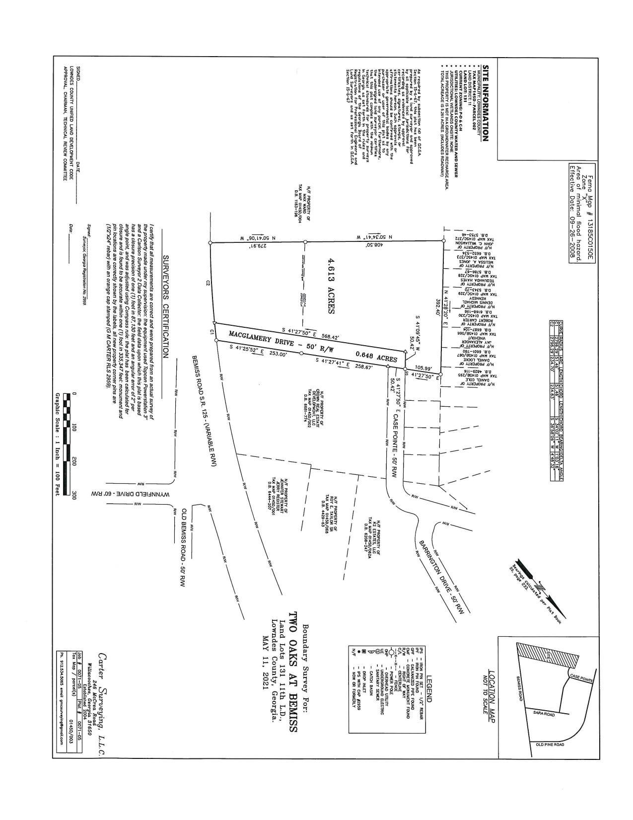
Survey Plat, MacGlamery Drive, Case Pointe, Barrington Drive

COMMISSION AGENDA ITEM: Acceptance of Infrastructure for Two Oaks Subdivision Phase II
Lowndes Co. Dev. Auth. Reappointments, Insolvent property, subdivision infrastructure, wine license, radios, bottled water, trucks, clothes washers, mowers, tractors, backup generator
24 May 2021

 
Survey Plat, MacGlamery Drive, Case Pointe, Barrington Drive
smaller PDF