Lowndes Area Knowledge Exchange (LAKE)
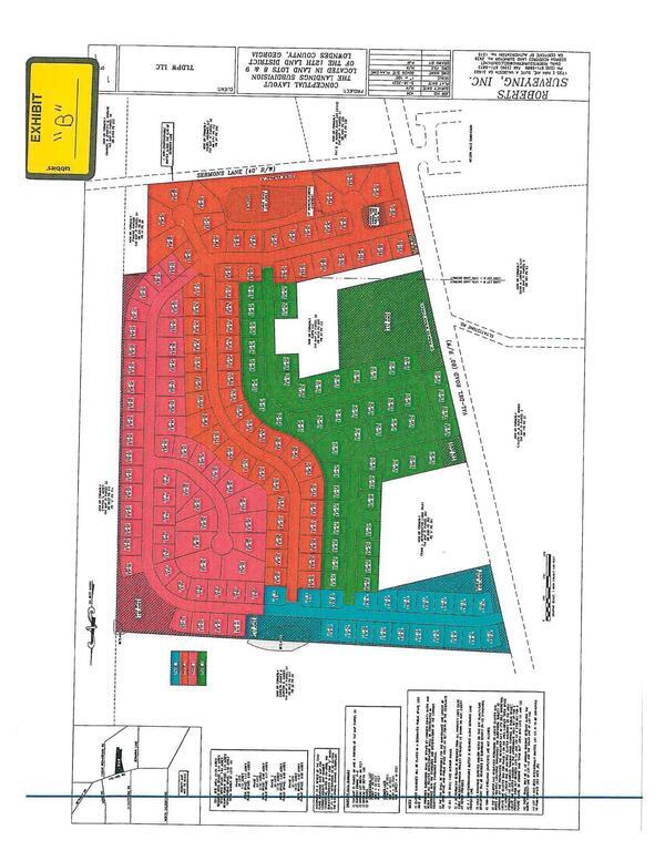
Revised Conceptual Layout
REZ-2021-11 The Landings (PD Amendment), Val Del Road (0071 056), County Water & Sewer, ~65 acres
Boards * 2, Rezonings * 4, Moody AFB wastewater @ LCC
11 July 2021
bigger
PDF
Photographs
by
Lowndes Area Knowledge Exchange (LAKE)
,
licensed by a
Creative Commons Attribution-Share Alike 3.0 U.S. License
.
Lowndes Area Knowledge Exchange (LAKE)