Lowndes Area Knowledge Exchange (LAKE)

[prev][index][next] [index to photographs]

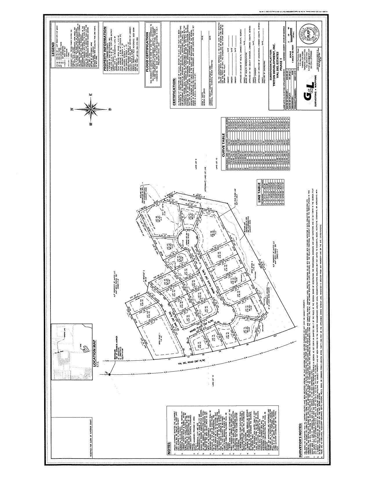
Subdivision Plat for Triton Development, Inc., Val Del Estates Phase I

Adopt Resolution Accepting Infrastructure for Val Del Estates Subdivision Phase |
Millage, Hightower Road, Bellsouth, Val Del Estates, 911, Alapaha Plantation, Manhole Emergency, Private Roads, Alcohol * 2 @ LCC
23 August 2021

 
Subdivision Plat for Triton Development, Inc., Val Del Estates Phase I
smaller PDF