Lowndes Area Knowledge Exchange (LAKE)
SURVEY
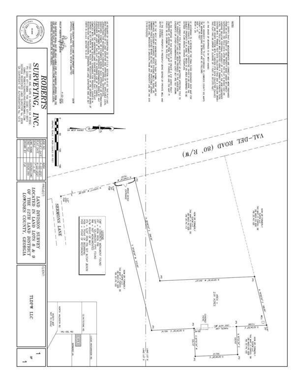
REZ-2021-20 LCBOC on Behalf of Harold and Gina Warr, 4154 Val Del Road, P-D to R-A, Well & Septic, ~2.9 acres
Sewer Improvements, Water for subdivision sprawl, Library @ LCC
11 October 2021
bigger
PDF
Photographs
by
Lowndes Area Knowledge Exchange (LAKE)
,
licensed by a
Creative Commons Attribution-Share Alike 3.0 U.S. License
.
Lowndes Area Knowledge Exchange (LAKE)