Lowndes Area Knowledge Exchange (LAKE)

[prev][index][next] [index to photographs]

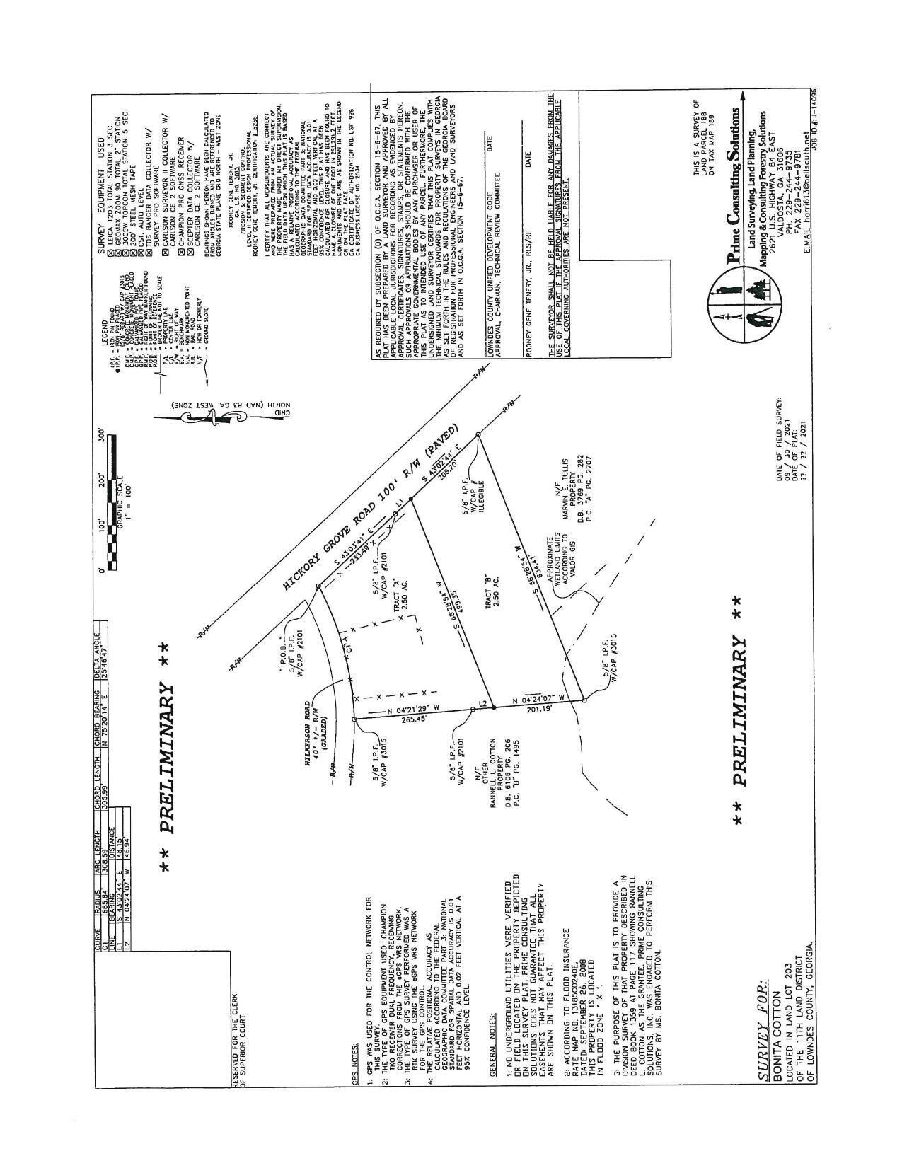
Preliminary survey plat

REZ-2021-23 Cotton Property, 3986 Wilkerson Road, 5 acres, E- Ato R-A, Well & Septic
Comprehensive Plan approval, Hospital Authority re-appointment, 3 small rezonings, AT&T cell tower, Regional Transit, LMIG Restriping, Budget Calendar, Second Harvest, Code Red @ LCC
8 November 2021

 
Preliminary survey plat
smaller PDF