Lowndes Area Knowledge Exchange (LAKE)
SURVEY
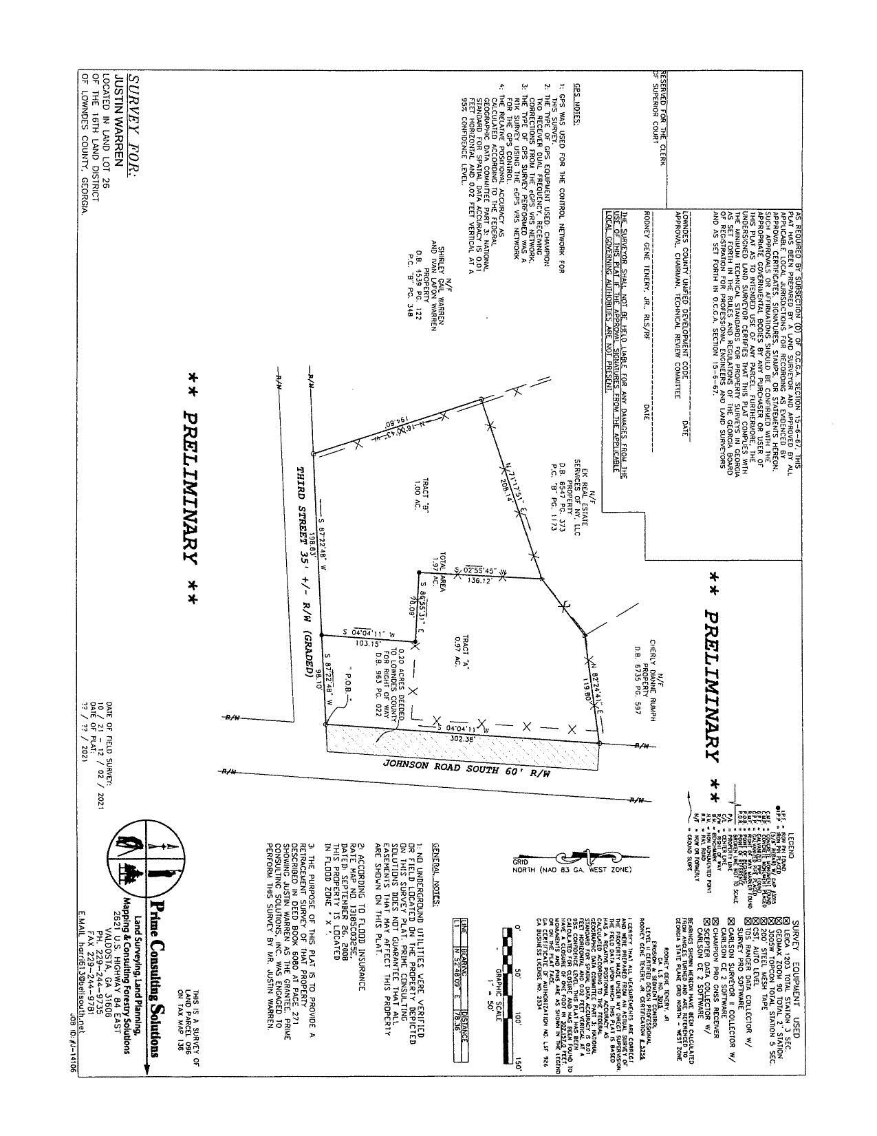
REZ-2022-02 Justin Warren, 4128 Johnson Rd., 1.97ac, R-1 to R- 21, Well & Septic
Board's Pleasure should be Deny: Miller Bridge Road rezoning @ LCC
7 February 2022
smaller
PDF
Photographs
by
Lowndes Area Knowledge Exchange (LAKE)
,
licensed by a
Creative Commons Attribution-Share Alike 3.0 U.S. License
.
Lowndes Area Knowledge Exchange (LAKE)