Lowndes Area Knowledge Exchange (LAKE)
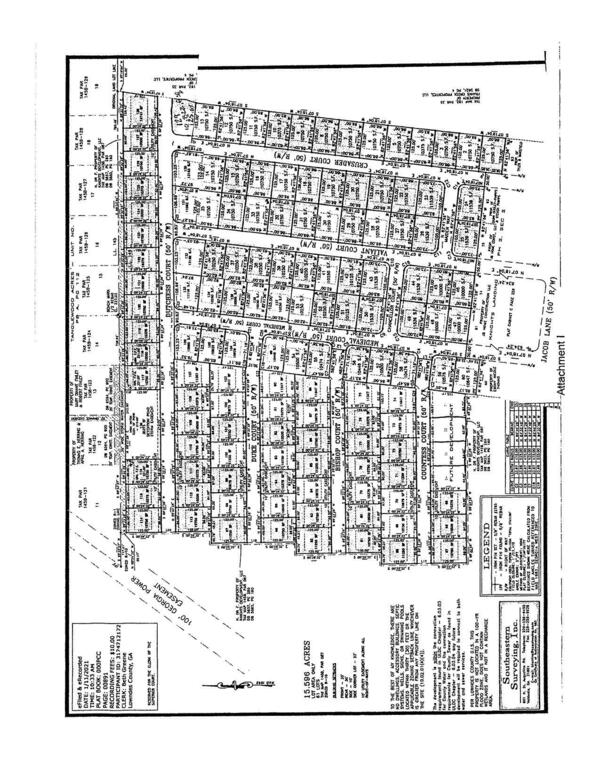
Plat map
COMMISSION AGENDA ITEM: Addition to Basic Decorative Street Lighting District - Knights Landing SD, Phase 3
Packet: 0.277 acres for a county detention pond @ LCC
21 March 2022
bigger
PDF
Photographs
by
Lowndes Area Knowledge Exchange (LAKE)
,
licensed by a
Creative Commons Attribution-Share Alike 3.0 U.S. License
.
Lowndes Area Knowledge Exchange (LAKE)