Lowndes Area Knowledge Exchange (LAKE)
Conceptual Site Plan for Hallabrooks
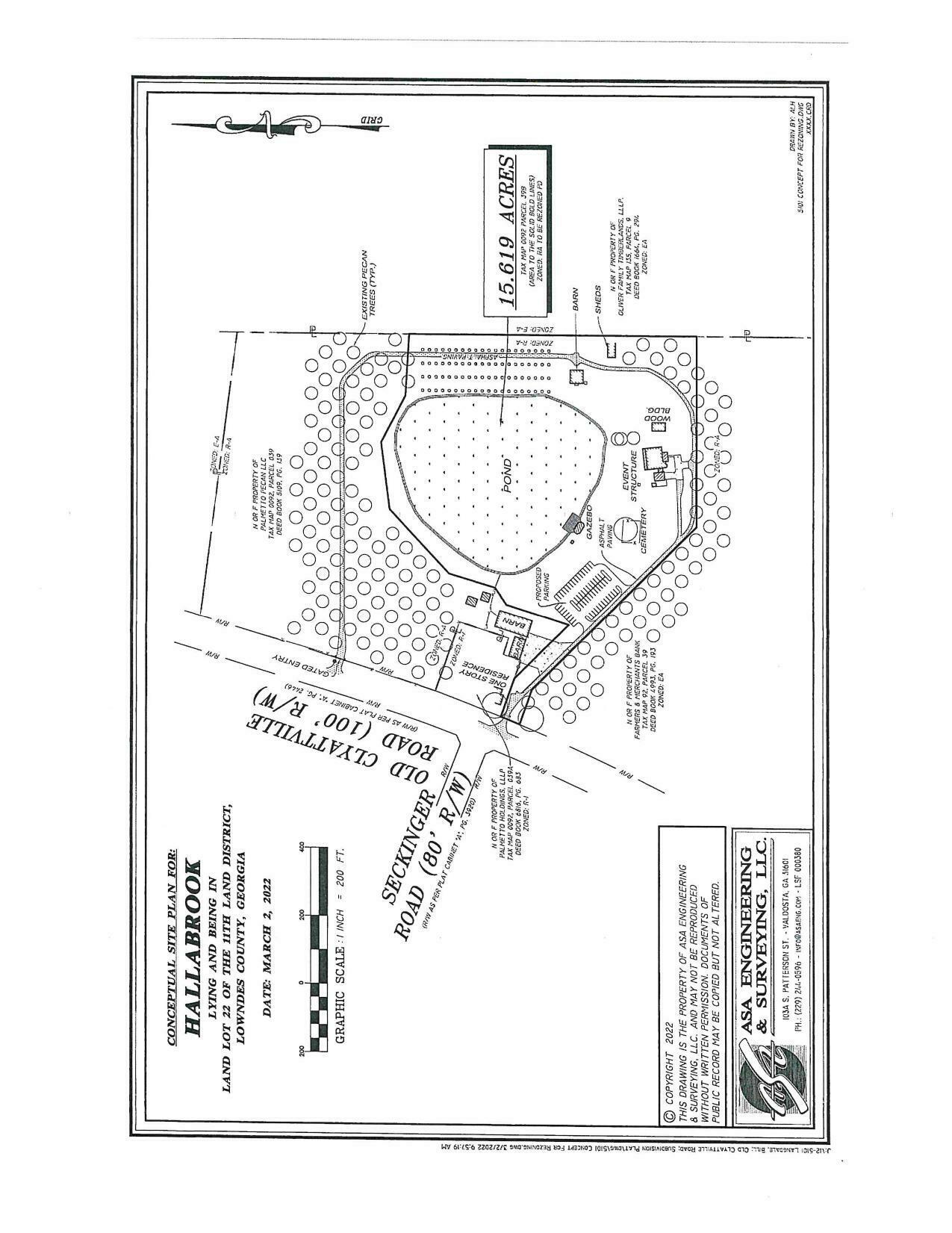
REZ-2022-08 Hallabrook, 3263 Old Clyattville Rd, ~15.6 acres, R-A to P-D, Well & Septic
Subdivisions subsidized by roads, EV charging, VAWA, Soccer complex, Courtroom AV @ LCC
11 April 2022
smaller
PDF
Photographs
by
Lowndes Area Knowledge Exchange (LAKE)
,
licensed by a
Creative Commons Attribution-Share Alike 3.0 U.S. License
.
Lowndes Area Knowledge Exchange (LAKE)