Lowndes Area Knowledge Exchange (LAKE)
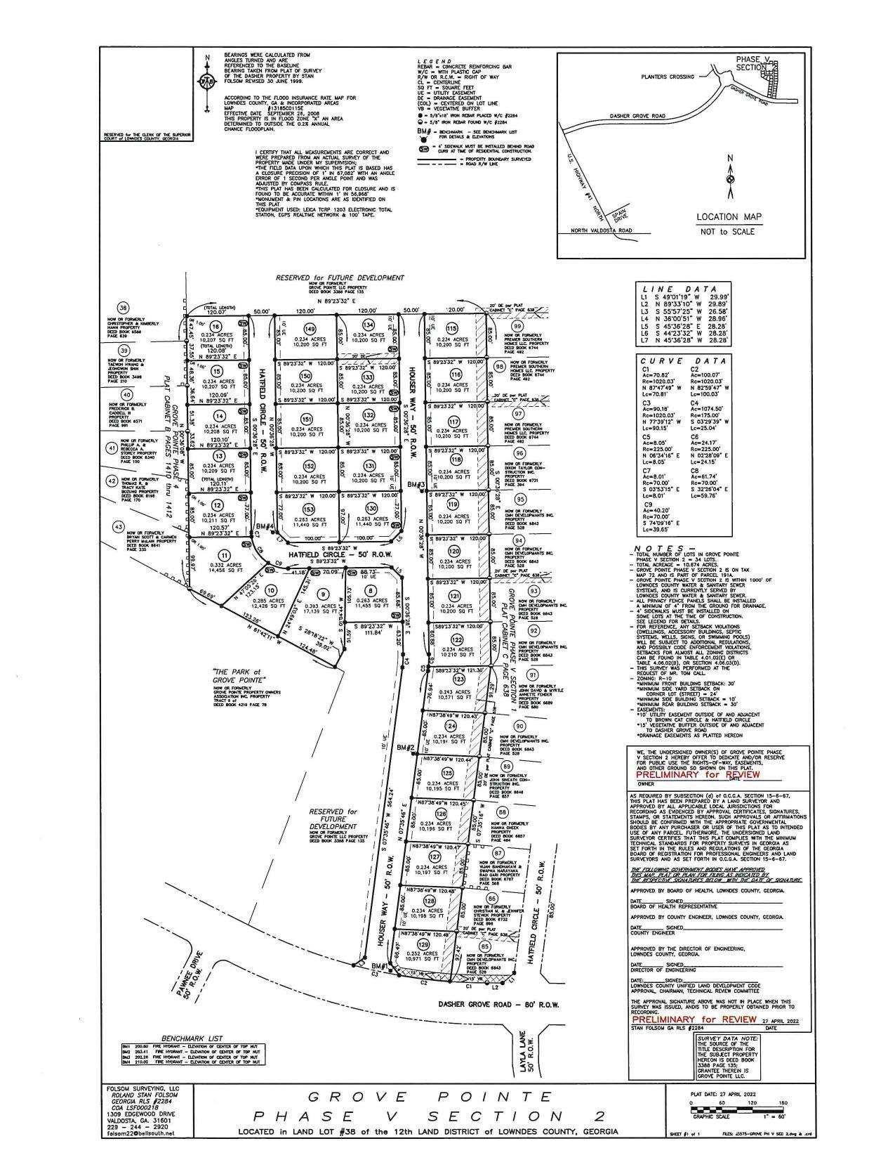
Map: Grove Pointe Phase V Section 2
Adopt Resolution Accepting Infrastructure for Grove Pointe Phase V Section 2
Three appointments, one subdivision streets, and alcohol @ LCC
9 May 2022
smaller
PDF
Photographs
by
Lowndes Area Knowledge Exchange (LAKE)
,
licensed by a
Creative Commons Attribution-Share Alike 3.0 U.S. License
.
Lowndes Area Knowledge Exchange (LAKE)