Lowndes Area Knowledge Exchange (LAKE)
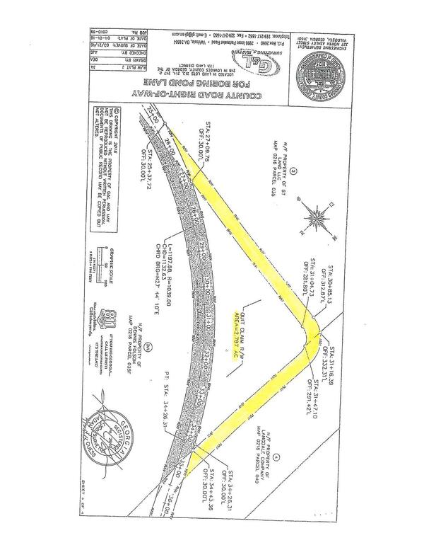
Survey: County Road Right of Way for Boring Pond Lane
Abandonment of a Portion of Boring Pond Lane
Packet: 2 appointments, 2 rezonings, road abandonment @ LCC
11 July 2022
bigger
PDF
Photographs
by
Lowndes Area Knowledge Exchange (LAKE)
,
licensed by a
Creative Commons Attribution-Share Alike 3.0 U.S. License
.
Lowndes Area Knowledge Exchange (LAKE)