Lowndes Area Knowledge Exchange (LAKE)

[prev][index][next] [index to photographs]

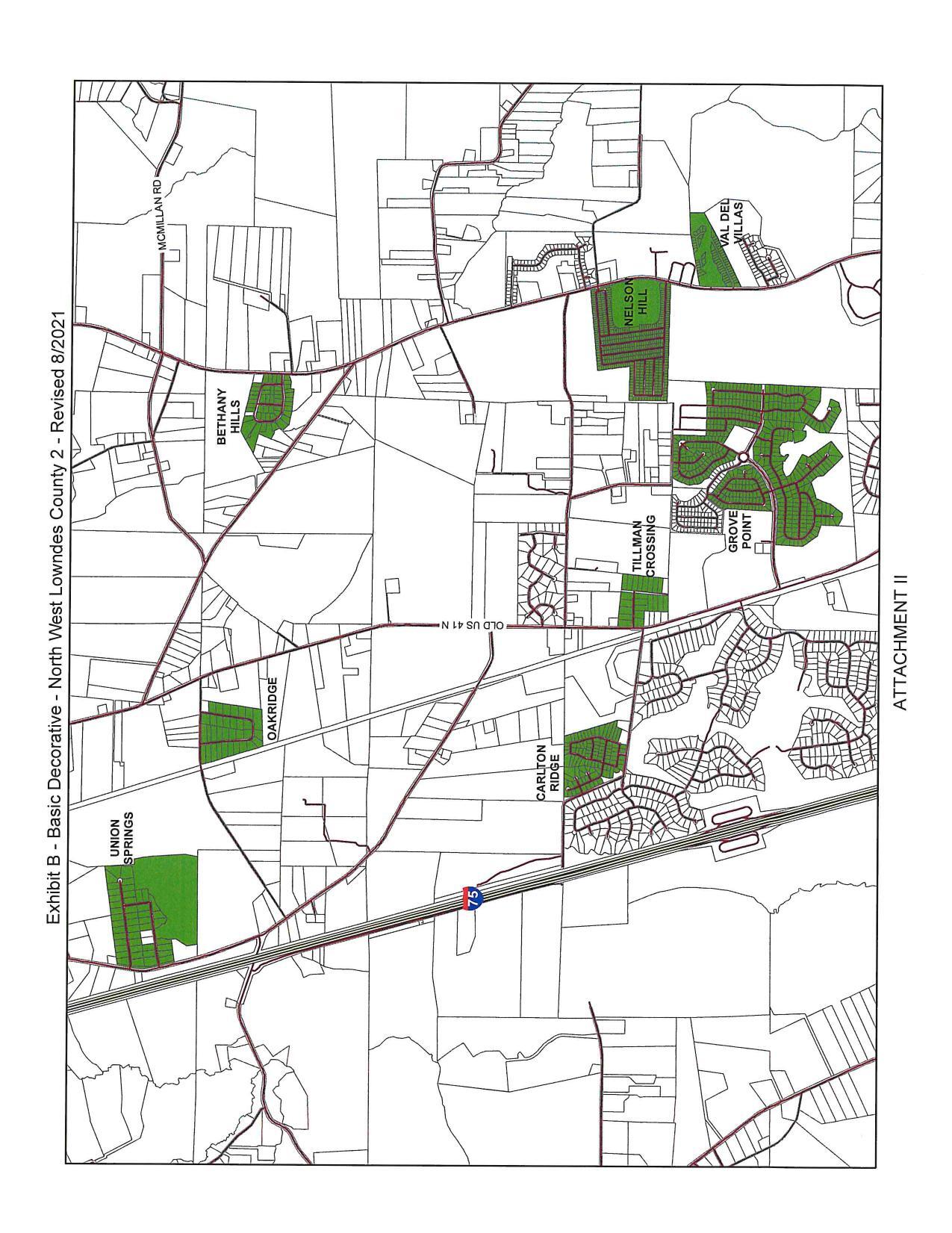
Exhibit B: Basic Decorative North West Lowndes County 2 Revised (Map)

Addition to Basic Decorative Lighting District: Grove Pointe Subdivision, Phase 5, Sections 1 and 2 (101 Lots)
Packet: Juvenile Justice, Manholes, Tax Appeals Module, Subdivision lighting @ LCC
22 August 2022

 
Exhibit B: Basic Decorative North West Lowndes County 2 Revised (Map)
smaller PDF