Lowndes Area Knowledge Exchange (LAKE)
Subdivision Plat
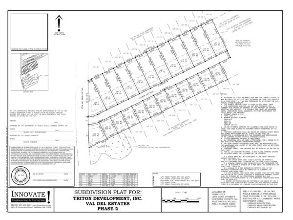
Adopt Resolution Accepting Infrastructure for Val Del Estates Subdivision Phase II
Two rezonings, Pictometry, Lift Station quit claim, Val Del Estates subdivision infrastructure @ LCC
10 October 2022
bigger
PDF
Photographs
by
Lowndes Area Knowledge Exchange (LAKE)
,
licensed by a
Creative Commons Attribution-Share Alike 3.0 U.S. License
.
Lowndes Area Knowledge Exchange (LAKE)