Lowndes Area Knowledge Exchange (LAKE)

[prev][index][next] [index to photographs]

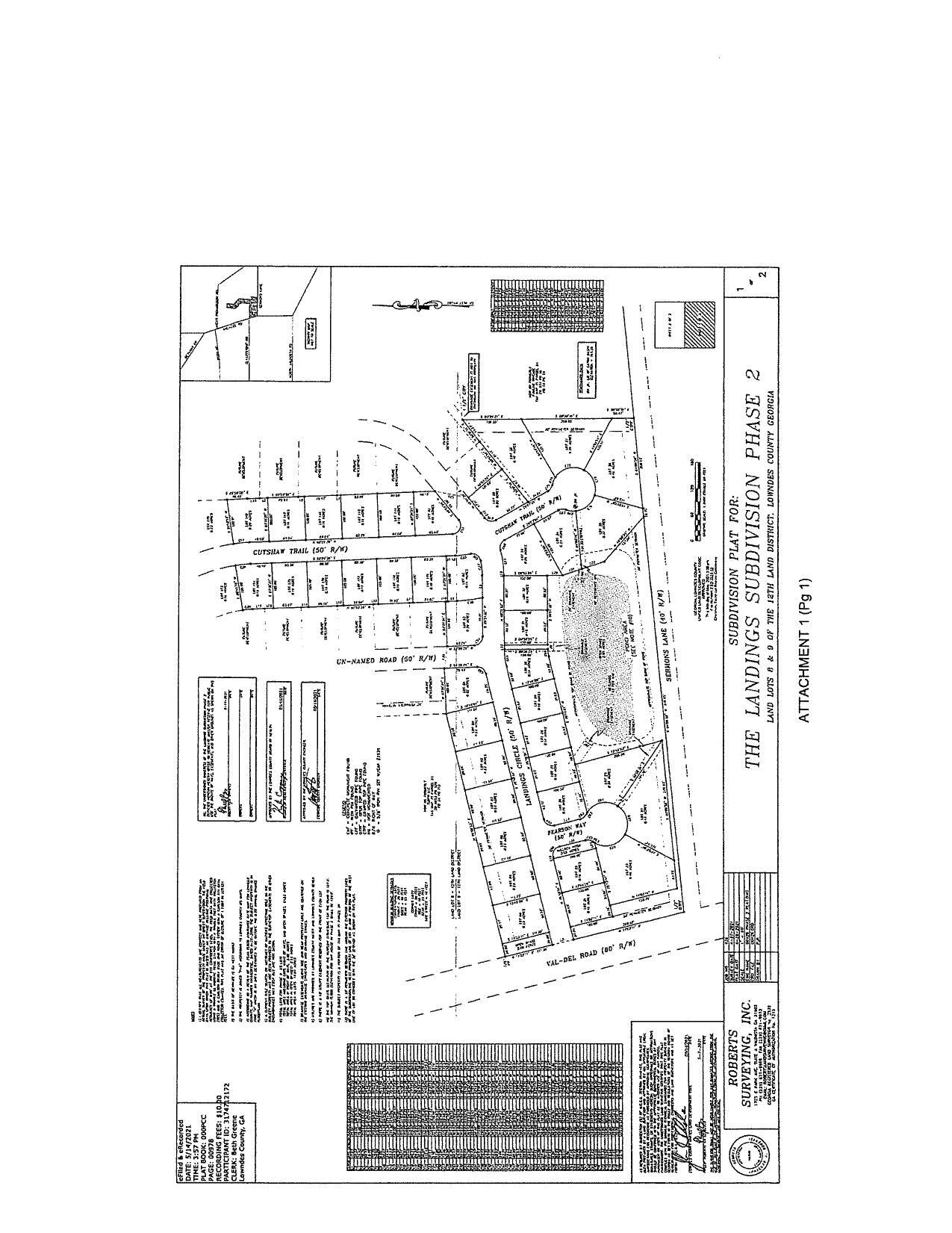
Plat for The Landings Phase 2 (1 of 2)

Addition to Enhanced Decorative Lighting District: Kinderlou Forest Subdivision, Phases 8A (52 lots) and 9 (58 lots) and Basic Decorative Lighting District: The Landings Subdivision, Phase 2 (65 Lots), Quarterman Estates Subdivision, Phase 3D (21 lots) and Walker Run Subdivision (48 lots)
Greenlight Enhanced Decorative Lighting, Fire, Broadband, Courthouse, other Bids @ LCC Packet
7 November 2022

 
Plat for The Landings Phase 2 (1 of 2)
smaller PDF