Lowndes Area Knowledge Exchange (LAKE)
SURVEY Plat
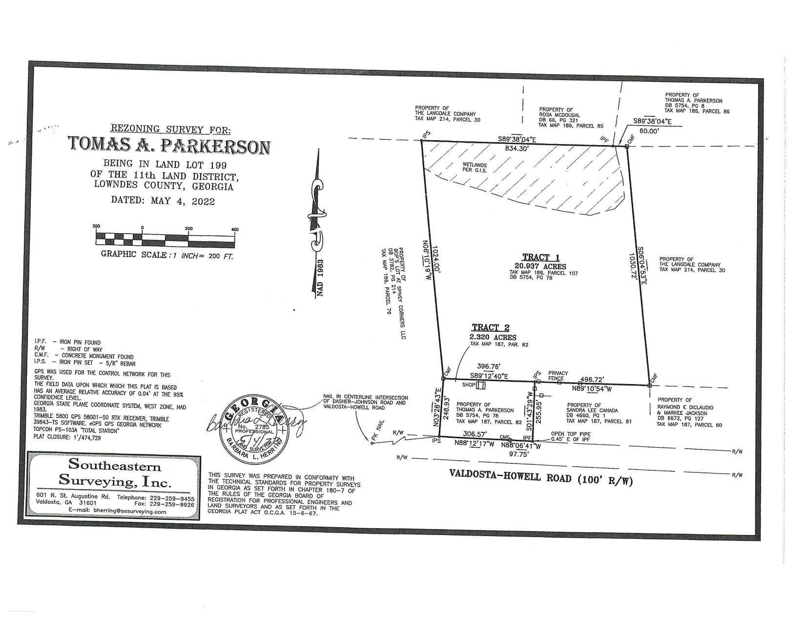
REZ-2022-10 The Campus Transitional Care Facility, 2193 Howell Road, E-A to P- D, Well & Septic, ~23 acres
Packet: Howell Road rezoning, Trash colleciton centers, Windstream Broadband map @ LCC
27 March 2023
smaller
PDF
Photographs
by
Lowndes Area Knowledge Exchange (LAKE)
,
licensed by a
Creative Commons Attribution-Share Alike 3.0 U.S. License
.
Lowndes Area Knowledge Exchange (LAKE)