Lowndes Area Knowledge Exchange (LAKE)
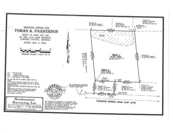
Survey Plat
REZ-2022-10 The Campus Transitional Care Facility, 2193 Howell Road, E-A to P- D, Well & Septic, ~23 acres
Packet: Raise waste collection rates, appointments to 3 boards, crop sprayer for wastewater hayfield @ LCC
10 April 2023
bigger
PDF
Photographs
by
Lowndes Area Knowledge Exchange (LAKE)
,
licensed by a
Creative Commons Attribution-Share Alike 3.0 U.S. License
.
Lowndes Area Knowledge Exchange (LAKE)