Lowndes Area Knowledge Exchange (LAKE)

[prev][index][next] [index to photographs]

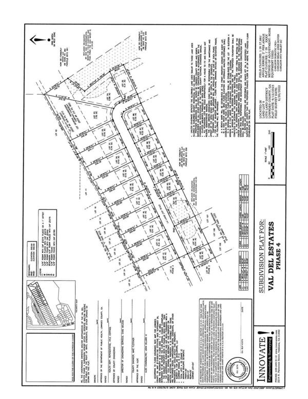
Subdivision Plat for Val Del Estates Phase 4

Adopt Resolution Accepting Infrastructure for Val Del Estates Subdivision Phase IV
ULDC contractor extension, hospital revenue certificate reissuance, LAS generator, Juvenile Justice grant, Val Del Estates infrastructure @ LCC Packet
23 October 2023

 
Subdivision Plat for Val Del Estates Phase 4
bigger PDF