Lowndes Area Knowledge Exchange (LAKE)

[prev][index][next] [index to photographs]

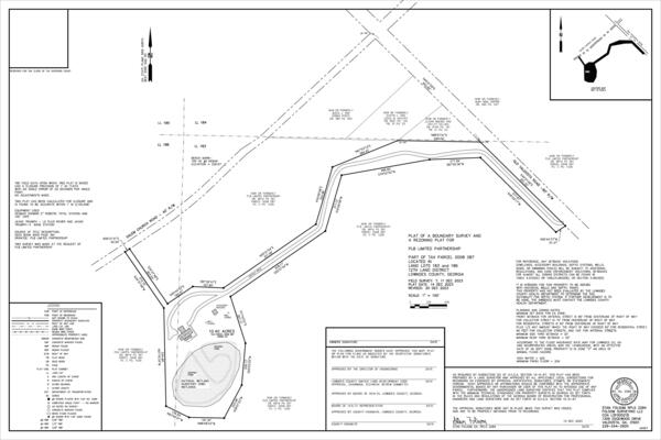
Plat of a Boundary Survey and a Rezoning Plat for PLB Limited Partnership

REZ-2024-01 Gresham Event Venue, 8415 Old Valdosta Rd., E-A to PD-R, ~10.3 acres, Well & Septic
Packet: Gresham Event Venue, Kinderlou-Clyattville Road RoW, Hurricane Idalia repairs @ LCC
12 February 2024

 
Plat of a Boundary Survey and a Rezoning Plat for PLB Limited Partnership
bigger PDF