Lowndes Area Knowledge Exchange (LAKE)
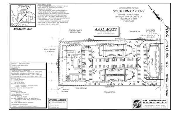
2024-03-04 Conceptual Site Plan For: SOUTHERN GARDENS
REZ-2024-03 Southern Gardens, 4609 Bemiss Rd. 5ac, C-G to P-D, County Utilities
New and old site plans for REZ-2024-03 Southern Gardens, 4609 Bemiss Road @ LCC
11 March 2024
bigger
PDF
Photographs
by
Lowndes Area Knowledge Exchange (LAKE)
,
licensed by a
Creative Commons Attribution-Share Alike 3.0 U.S. License
.
Lowndes Area Knowledge Exchange (LAKE)