Lowndes Area Knowledge Exchange (LAKE)
Survey Plat
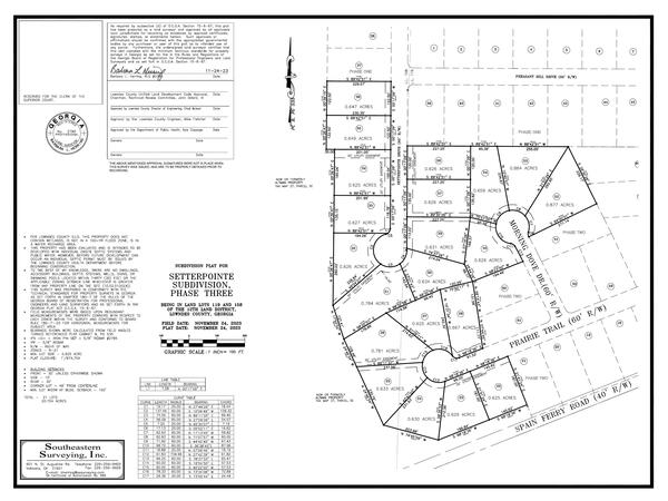
Acceptance of Infrastructure for SetterPointe Subdivision
Packet: 3 applicants for Land Bank Authority, Mutual Aid Agreement, SetterPointe Subdivision, grants, offsite alcohol, data center switches, and failed land sale @ LCC
22 April 2024
bigger
PDF
Photographs
by
Lowndes Area Knowledge Exchange (LAKE)
,
licensed by a
Creative Commons Attribution-Share Alike 3.0 U.S. License
.
Lowndes Area Knowledge Exchange (LAKE)