Lowndes Area Knowledge Exchange (LAKE)
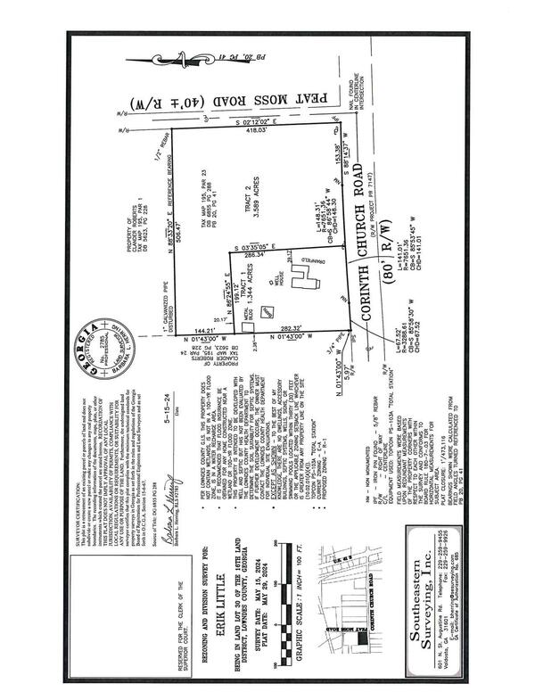
Rezoning and Division Survey for: Erik Little
REZ-2024-14 Little, 4253 Corinth Church Rd, ~4.93ac, E-A to R-1, Well and Septic
Packet: ULDC text amendments, small rezoning, and liquor license @ LCC
8 July 2024
bigger
PDF
Photographs
by
Lowndes Area Knowledge Exchange (LAKE)
,
licensed by a
Creative Commons Attribution-Share Alike 3.0 U.S. License
.
Lowndes Area Knowledge Exchange (LAKE)