Lowndes Area Knowledge Exchange (LAKE)
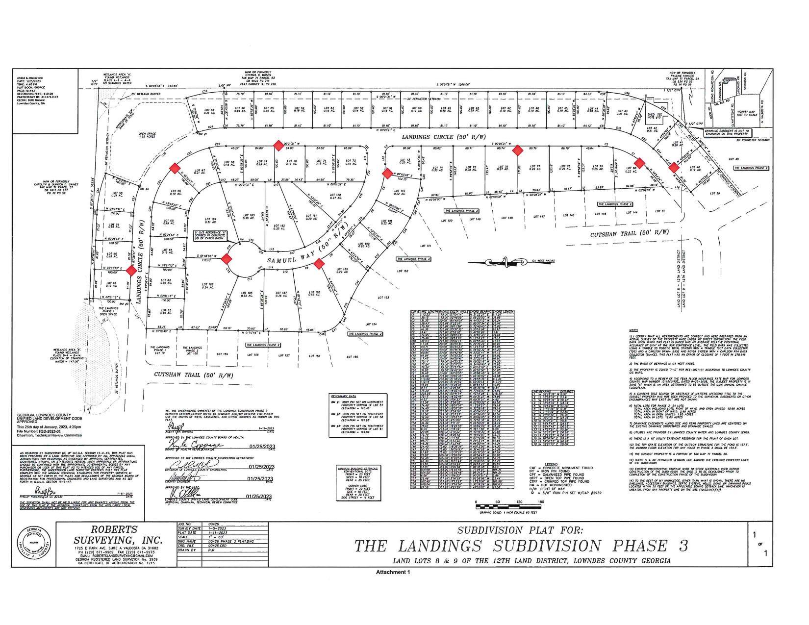
Subdivision plat for The Landings Subdivision Phase 3
Basic Decorative Street Lighting Districts - The Landings, Ph. 3 and Quarterman Estates, Ph. 4 Sec. 2
Packet: Library Board, Lighting, Mosquitoes, Prisoners, Stormwater @ LCC
26 August 2024
smaller
PDF
Photographs
by
Lowndes Area Knowledge Exchange (LAKE)
,
licensed by a
Creative Commons Attribution-Share Alike 3.0 U.S. License
.
Lowndes Area Knowledge Exchange (LAKE)