Lowndes Area Knowledge Exchange (LAKE)
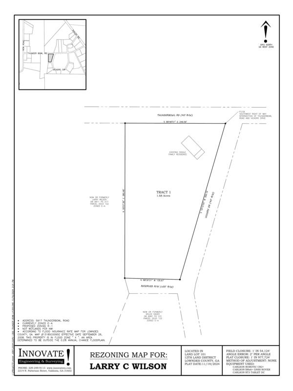
Rezoning Map for: Larry C Wilson
REZ-2024-20 Wilson Estate, 5917 Thunder Bowl Rd., ~1.7ac, E-A to R-1, Well & Septic
Packet: Tourism Authority appointments, rezonings, water repairs, hurricane damage @ LCC
9 December 2024
bigger
PDF
Photographs
by
Lowndes Area Knowledge Exchange (LAKE)
,
licensed by a
Creative Commons Attribution-Share Alike 3.0 U.S. License
.
Lowndes Area Knowledge Exchange (LAKE)