Lowndes Area Knowledge Exchange (LAKE)
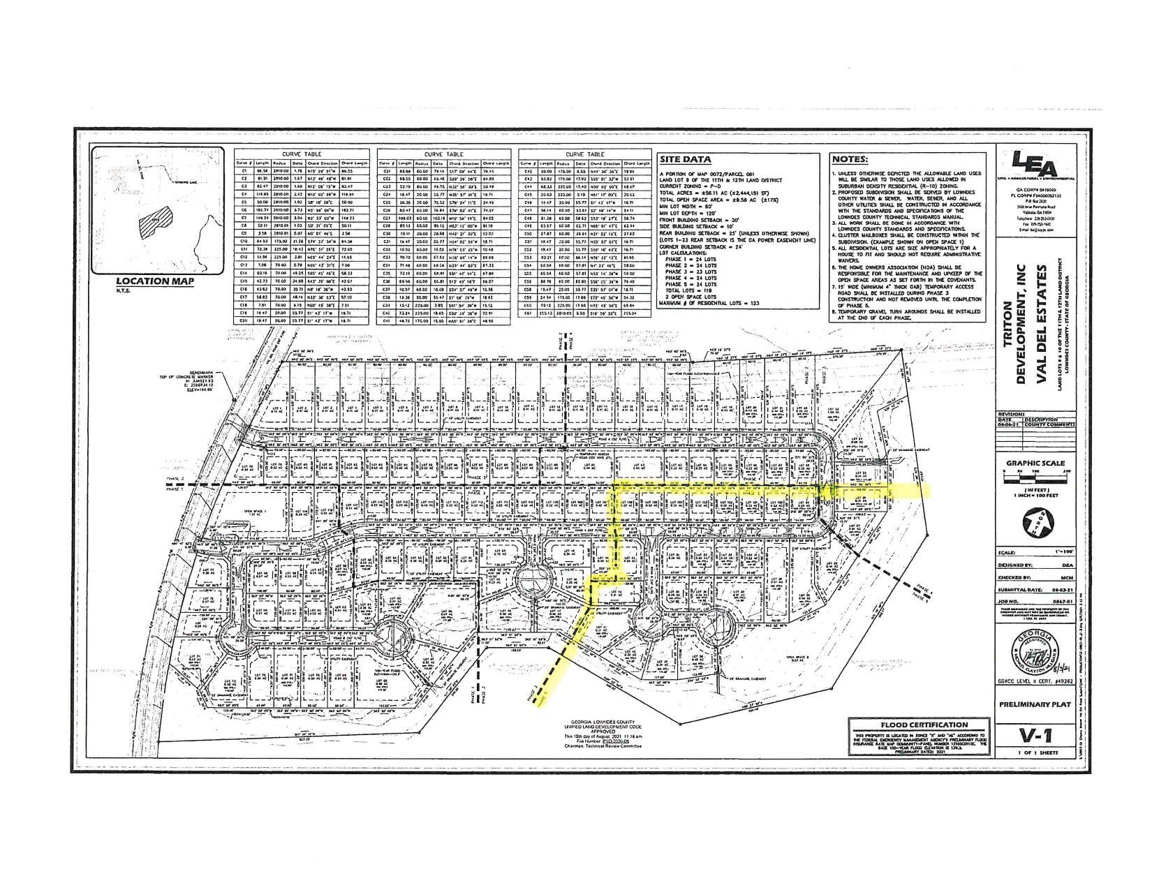
Preliminary Plat: Triton Development, Inc. Val Del Estates
Acceptance of Infrastructure for Val Del Estates Phase 5
Packet: Tourism Authority appointments, rezonings, water repairs, hurricane damage @ LCC
9 December 2024
smaller
PDF
Photographs
by
Lowndes Area Knowledge Exchange (LAKE)
,
licensed by a
Creative Commons Attribution-Share Alike 3.0 U.S. License
.
Lowndes Area Knowledge Exchange (LAKE)