Lowndes Area Knowledge Exchange (LAKE)

[prev][index][next] [index to photographs]

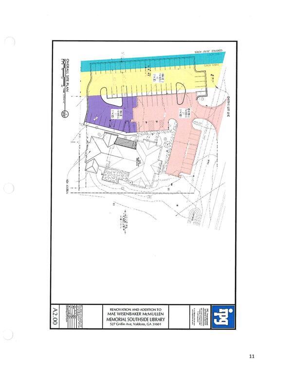
Overall Site Plan: RENOVATION AND ADDITION TO MAE WISENBAKER McMULLEN MEMORIAL SOUTHSIDE LIBRARY, 527 Griffin Ave, Valdosta, GA 31601

SSL
Packet: Lowndes County Commission Annual Planning Meeting
5 March 2025

 
Overall Site Plan: RENOVATION AND ADDITION TO MAE WISENBAKER McMULLEN MEMORIAL SOUTHSIDE LIBRARY, 527 Griffin Ave, Valdosta, GA 31601
bigger PDF