Lowndes Area Knowledge Exchange (LAKE)

[prev][index][next] [index to photographs]

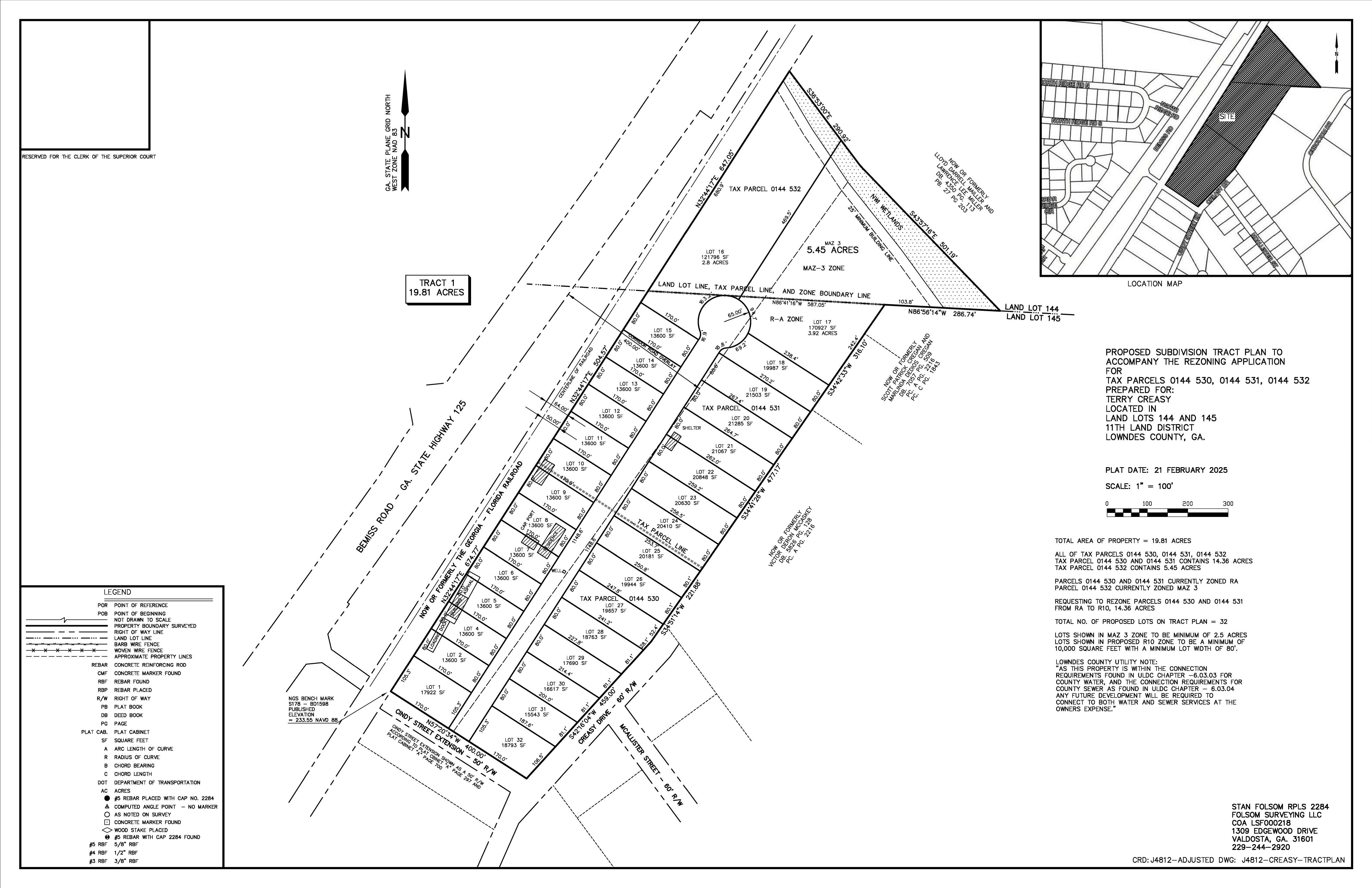
8 PROPOSED SUBDIVISION TRACT PLAN TO ACCOMPANY THE REZONING APPLICATION

REZ-2025-05 Creasy Property, ~19.8ac, Cindy St. Ext. & Creasy Drive, R-A & MAZ-3 to R-10 & MAZ- 3, County Utilities
Packet: Three rezonings, three tax items, Sheriff Office and Water Wells bids @ LCC
7 April 2025

 
8 PROPOSED SUBDIVISION TRACT PLAN TO ACCOMPANY THE REZONING APPLICATION
smaller PDF