Lowndes Area Knowledge Exchange (LAKE)
Zoning Location Map
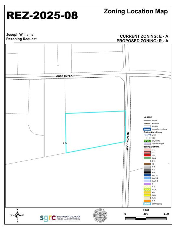
REZ-2025-08 Joseph Williams, 7219 Good Hope Rd., 2.5ac, E-A to E-A and R-A, Well and Septic
VLPRA & DFCS appointments, two rezonings, Hazard Mitigation, $1 million Custom Pumper, $4.7 million Fire Rescue @ LCC
9 June 2025
bigger
PDF
Photographs
by
Lowndes Area Knowledge Exchange (LAKE)
,
licensed by a
Creative Commons Attribution-Share Alike 3.0 U.S. License
.
Lowndes Area Knowledge Exchange (LAKE)