Lowndes Area Knowledge Exchange (LAKE)
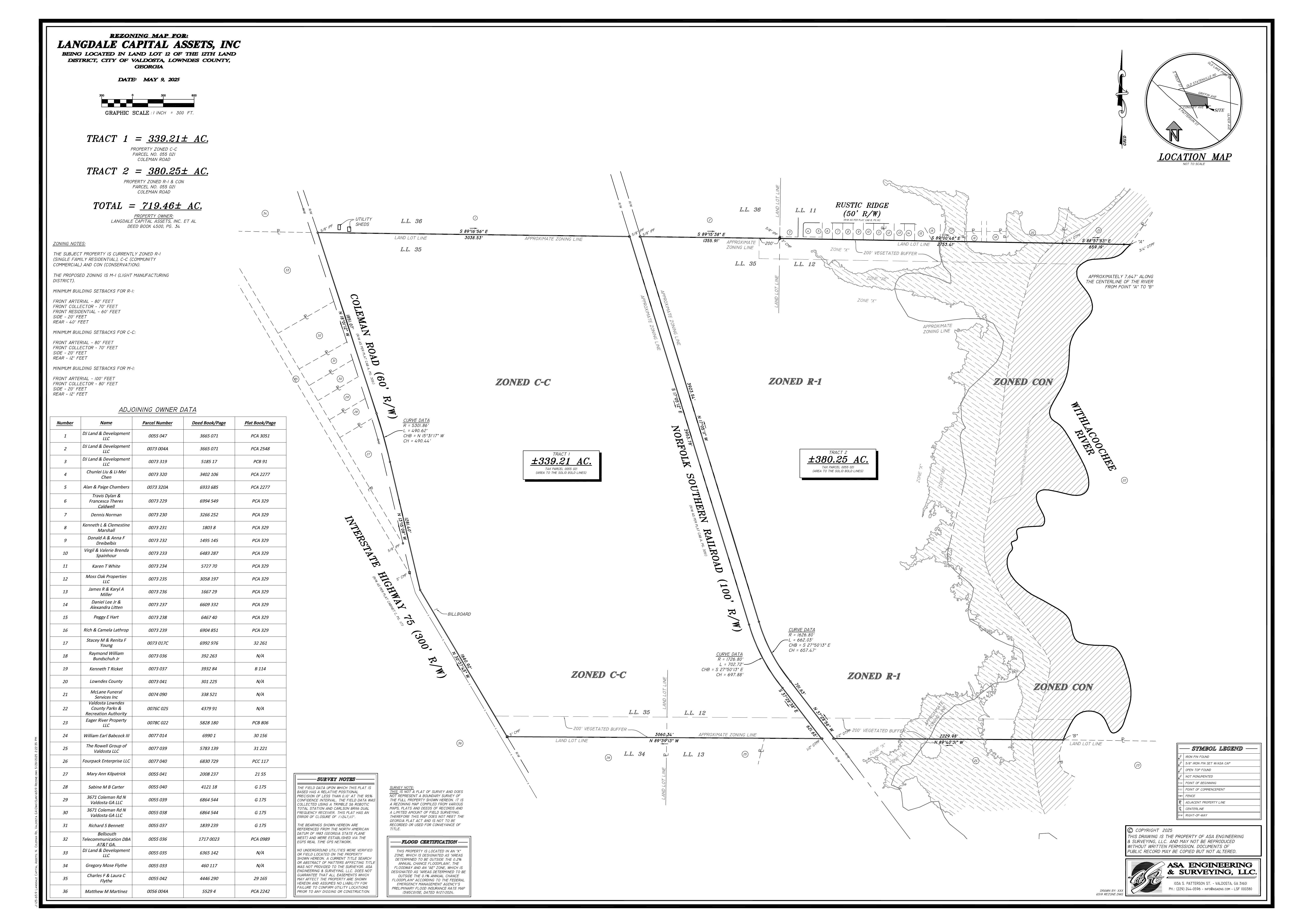
Rezoning Map for Langdale Capital Assets, Inc.
REZ-2025-11 Langdale Capital Assets, Coleman Road, ~719 ac, C-C, R-1, & CON, to M-1 & CON, County Utilities
Two rezonings and a beer and wine license @ LCC Packet
7 July 2025
smaller
PDF
Photographs
by
Lowndes Area Knowledge Exchange (LAKE)
,
licensed by a
Creative Commons Attribution-Share Alike 3.0 U.S. License
.
Lowndes Area Knowledge Exchange (LAKE)