Lowndes Area Knowledge Exchange (LAKE)

[prev][index][next] [index to photographs]

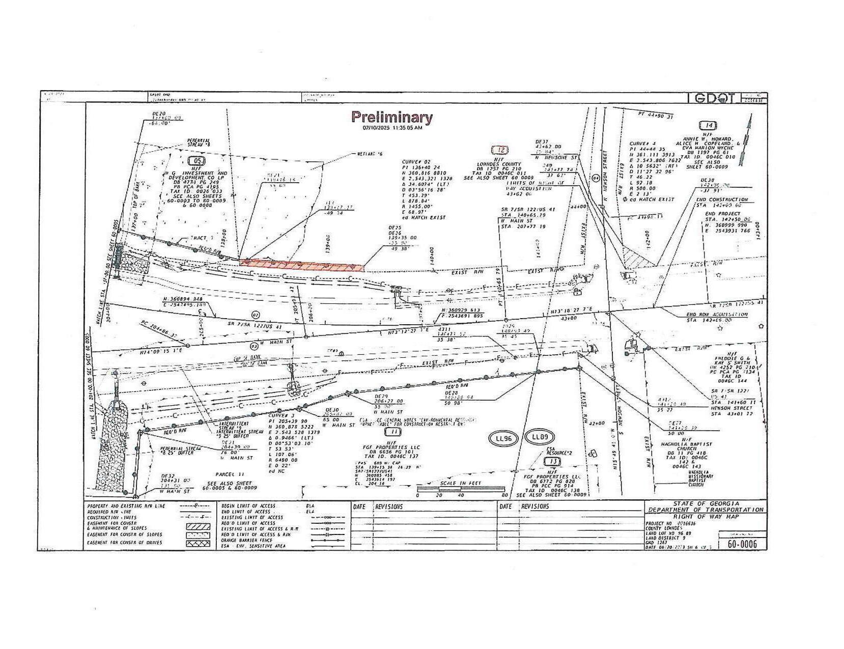
Map: detailed preliminary GDOT proposal

Georgia Department of Transportation (GDOT) permanent easement at 503 W. Main St. Hahira, GA 31632
Packet: 2 small rezonings, Comprehensive Plan, USGS Gauges, GDOT for Shiloh Road, Civic Center Hurricane Repair @ LCC
11 August 2025

 
Map: detailed preliminary GDOT proposal
smaller PDF