Lowndes Area Knowledge Exchange (LAKE)
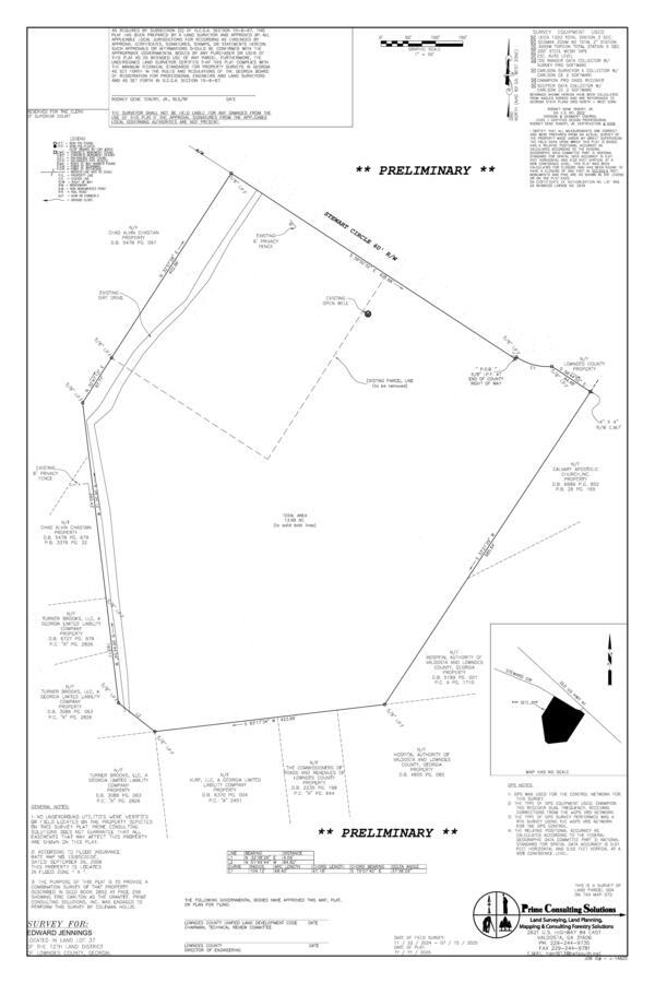
SURVEY for Edward Jennings
REZ-2025-15 Stewart Circle ~13.6ac, 3923, 4025 & 4051 Stewart Circle, C-C & R-1 to C-H, County Utilities
Packet: Rezonings, Dogs, Roads, and Subdivisions @ LCC
13 October 2025
bigger
PDF
Photographs
by
Lowndes Area Knowledge Exchange (LAKE)
,
licensed by a
Creative Commons Attribution-Share Alike 3.0 U.S. License
.
Lowndes Area Knowledge Exchange (LAKE)