Lowndes Area Knowledge Exchange (LAKE)

[prev][index][next] [index to photographs]

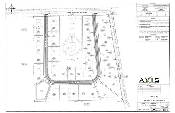
Map: Site Plan, Copeland Road Subdivision, 2025-07-23

REZ-2025-16 Copeland Road Subdivision, 2480 Copeland Rd, ~18ac, County Utilities, R-10/c to R-10
Packet: Appointments to Planning Commission & Library Board, Copeland Road rezoning, Holiday and meeting schedule, Jumping Gully Road Bridge over Bevel Creek @ LCC
12 November 2025

 
Map: Site Plan, Copeland Road Subdivision, 2025-07-23
bigger PDF