Lowndes Area Knowledge Exchange (LAKE)

[prev][index][next] [index to photographs]

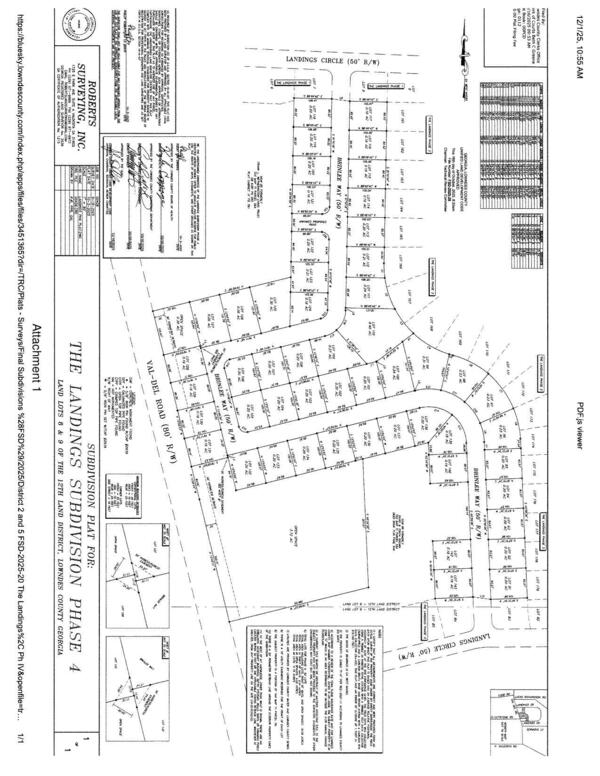
Map: Subdivision Plat for The Landings Subdivision Phase 4

Basic Decorative Street Lighting Districts — Grove Pointe, Phase V, Sec. 3, The Landings, Phase 4, and Val Del Estates, Phases 4 and 5
Packet: 4 Presentations, 4 Appointments, 2 Rezonings, 1 Dec. Lighting, 16 For Consideration, 1 Pump Station Upgrade @ LCC
8 December 2025

 
Map: Subdivision Plat for The Landings Subdivision Phase 4
bigger PDF