[prev][index][next] [index to photographs]

VAR-2016-05XZBAXStffXRptXSmith-0008

26 - 30
County Cases
5 April 2016
Carmella Braswell jsq at quarterman.org
 
VAR-2016-05XZBAXStffXRptXSmith-0008
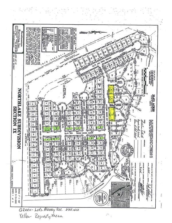
bigger

Last changed: $Date: 2016/04/05 18:20:46 $