Lowndes Area Knowledge Exchange (LAKE)
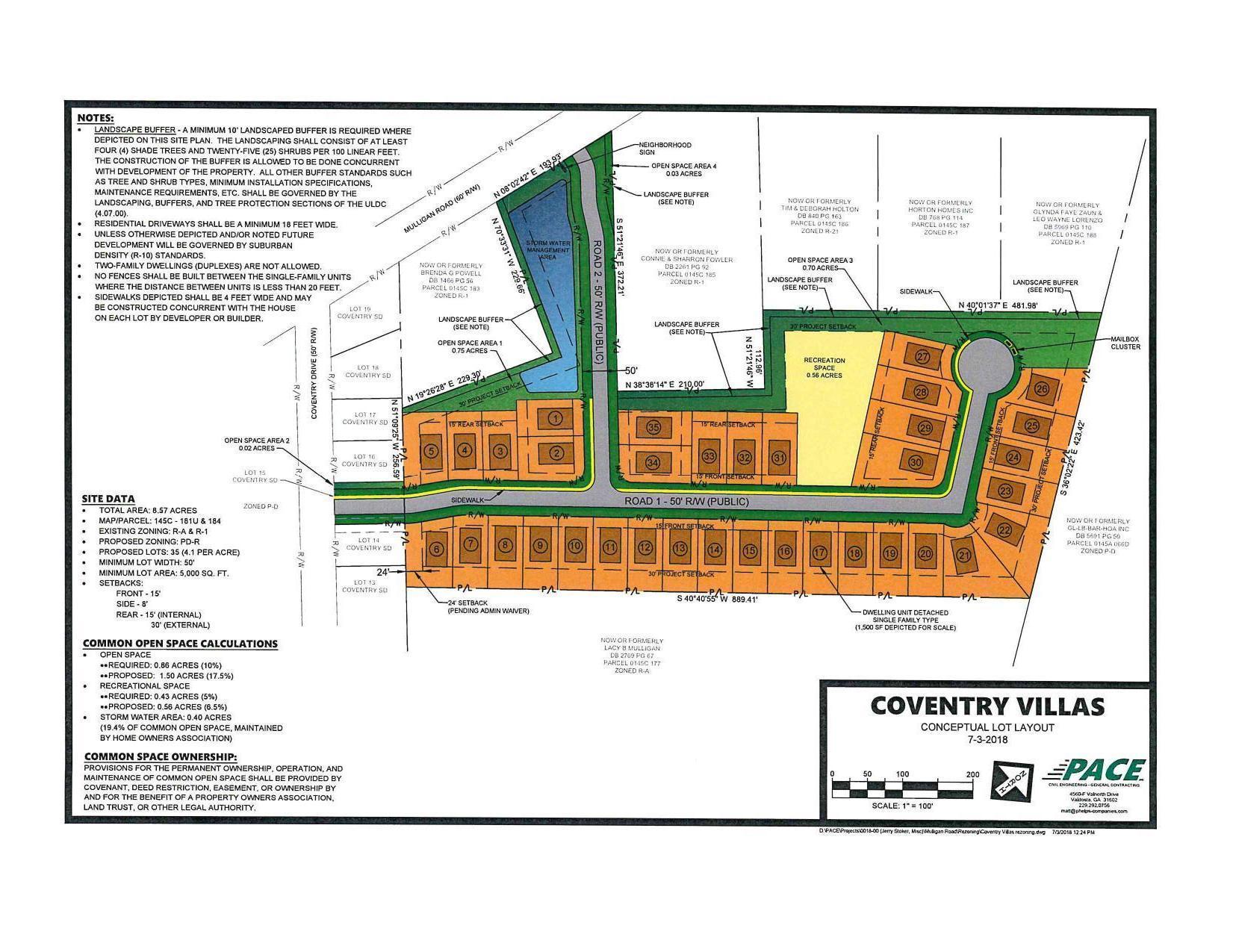
Conceptual Lot Layout Plan
VAR-2019-01 Coventry Site Maps
County and city setbacks
8 January 2019
smaller
PDF
Photographs
by
Lowndes Area Knowledge Exchange (LAKE)
,
licensed by a
Creative Commons Attribution-Share Alike 3.0 U.S. License
.
Lowndes Area Knowledge Exchange (LAKE)