[prev][index][next]

Concept Plan

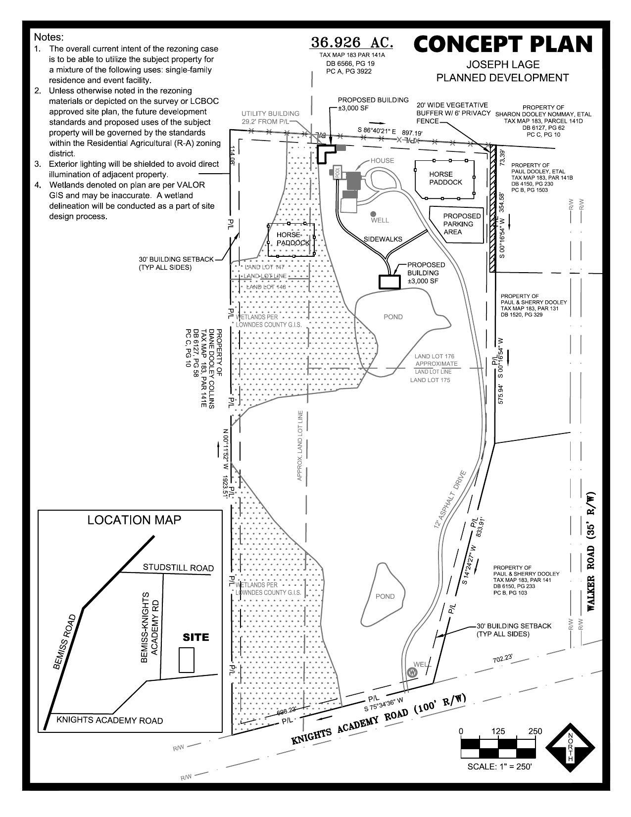
REZ-2020-05 Jose Lage, 4055 Knights Academy Rd.
2 Appointments, 2 Rezonings, Lift Station, Drainage, Facilities @ LCC
9 June 2020
 
Concept Plan
smaller PDF