Lowndes Area Knowledge Exchange (LAKE)

[prev][index][next] [index to photographs]

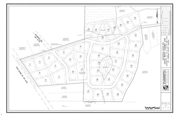
Conceptual Layout for Loch-Winn Farms Ltd.

REZ-2024-15 Loch Winn Farms, LTD, ~62ac, Loch Laurel & Carroll Ulmer, R-A to R-1 & R-A, Well and Septic
Packet: Rezonings Loch Laurel Road subdivision & Pine Grove Road townhouses; TIA Orr Road Extension @ LCC
9 September 2024

 
Conceptual Layout for Loch-Winn Farms Ltd.
bigger PDF